三星堆遗址是我国西南地区迄今所知先秦时期规模最大、延续时间最长、文化内涵最丰富的古文化、古城、古文明遗址。在历年考古中先后发现大量房屋建筑遗迹,既有青关山的大型建筑,也有各类小型建筑,不同地点、规模和形制的建筑遗迹往往代表着不同时期、功能、性质和等级等,这为我们研究三星堆遗址不同时期的考古学文化面貌等提供了重要证据。
早在1963年,冯汉骥先生带领四川省文物管理委员会、四川省博物馆和四川大学历史系考古专门组的师生,在月亮湾地点即发现多座小型建筑遗迹。1980年以后,王有鹏及陈德安、雷雨、冉宏林三任领队等先后在青关山、月亮湾、三星堆、仓包包等地点发现了大量房屋建筑遗迹,通过分析研究,其地层年代分属新石器时代晚期至夏商各不同时期,以商代中期及以后居多,这与三星堆大城城墙、三星堆祭祀坑出土遗物年代相吻合。
月亮湾地点建筑(图据四川省文物考古研究院)
1999年月亮湾地点10号建筑(图据四川省文物考古研究院)
将军庙地点建筑(图据四川省文物考古研究院)
那么,三星堆遗址发现的众多建筑遗迹中,距今年代最为久远的房子在何处呢?据介绍,1980年在三星堆地点发现的建筑遗迹,可能是最“老”的房子。
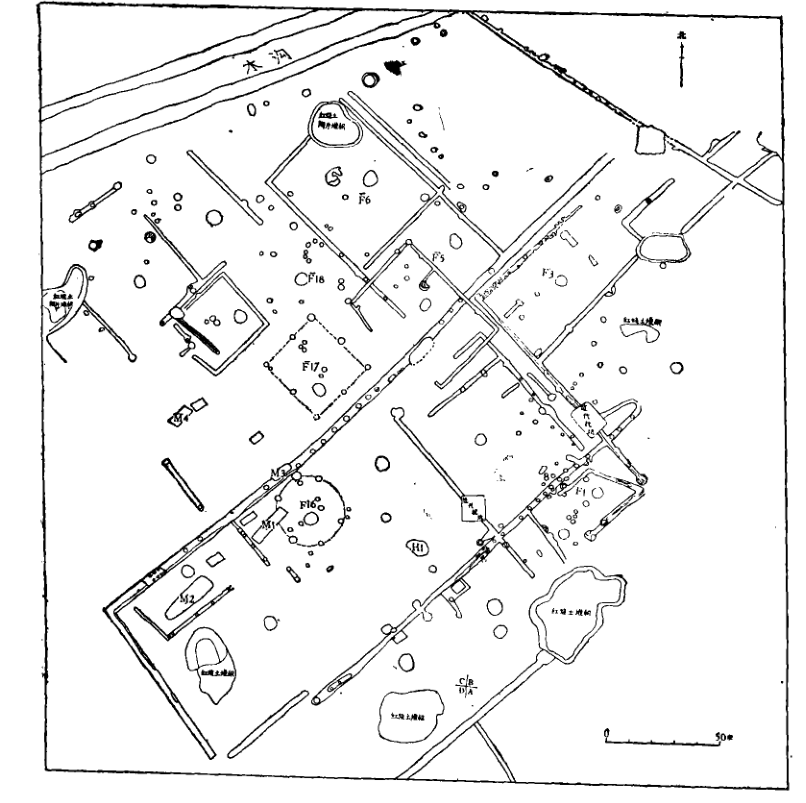
1980年11月,四川省文管会、四川省博物馆与广汉县文化馆组成联合发掘队,在三星堆地点东侧进行发掘,发掘面积1100平方米,于次年5月结束工作,发现房址共有18座。这些房址平面形状有方形、长方形和圆形。通过对柱洞和沟槽推算,房屋面积一般在10-25平方米之间,多在一侧开门,门的朝向不一,少数房内有隔墙(如F2)。居住面建在生土层上,较坚实,可能经过踩踏或拍打,少数居住面上加了一层白膏泥。
三星堆房址平面图(图据四川省文物考古研究院)
发掘者认为,这18座房址之间存在叠压打破关系,应属于不同时期建筑,其中早期房址平面呈圆形或方形,晚期房址平面呈长方形,四周墙基挖沟槽,沟槽中立木柱,再编缀木(竹)棍(条),最后涂抹草拌泥形成木骨泥墙,墙似经火烧烤,房架推测为竹、木结构,房顶覆盖草。此类建筑与川西平原一直延续到近代的茅草顶房极为相似。
考古人员通过对遗迹所在地层采集的木炭标本进行碳十四测定,其年代为距今4075±100年,经树轮校正为距今4500±150年,与该地点三星堆遗址一期文化遗存有共存关系,可以确认这就是三星堆迄今发现的最“老”的房子。
值得一提的是,为完整记录这组大型建筑遗迹,考古队在成都空军帮助下实现了三星堆考古的首次航拍,为我们今天留下了珍贵的房屋基址全景图。
三星堆首次航拍(图据四川省文物考古研究院)
2019年,冉宏林带队在仁胜村地点发现了多组排列整齐的方形柱洞,与新津宝墩古城的大型房址方形柱洞遗迹相似,应为三星堆遗址一期文化也即宝墩文化时期遗存,其年代约当新石器时代晚期至夏时期。三星堆地点最“老”的房子以及稍晚的仁胜村高等级房子遗存的发现,为我们深入研究和理解三星堆青铜文明产生的基础提供了重要资料。
来源:中国互联网联合辟谣平台、四川互联网联合辟谣平台、封面新闻(记者 李雨心)
监制:荆克 屈绍辉
监审:董晓
编辑:闫丹丹
校对:吴炎
